Typhoon Rai Leaves Path of Destruction Through the Philippines

Typhoon Rai would cause remarkable damage in the Philippines, becoming the first storm ever to strike Surigao del Norte as a major equivalent storm in December.
About a week after its devastating landfalls in the Philippines, authorities and residents are still assessing the damage brought by Typhoon Rai (PAGASA Name: Odette.) With catastrophic damage initially reported, the national government issued a state of calamity in six regions – Mimaropa; Western, Central, and Eastern Visayas; Northern Mindanao; and Caraga. Philippine President Rodrigo Duterte said that “The declaration of the state of calamity will hasten the rescue and relief and rehabilitation efforts of the government and the private sector.” It comes as residents of the hardest hit areas asked for more help, especially clean drinkable water.
National Disaster Risk Reduction and Management Council in its latest situation report on December 22, Typhoon Rai affected 1,382,252 people, of whom, 554,316 have been displaced. The agency also reported 177 deaths, 275 injured, and 38 people missing, although the national police’s tally is significantly higher than NDRRMC’s numbers, with 375 deaths. Reported damages of Rai now reach about ₱35.3 Billion (about $700 Million,) including reports in four provinces and national total on damages in the agricultural sector.

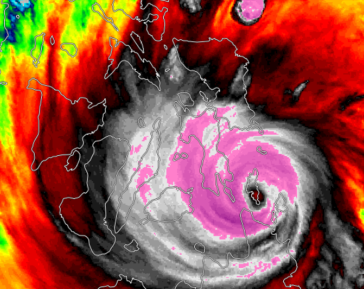
In an interview by Reuters, PAGASA Forecaster Nikos Peñaranda, who studies thunderstorms in PAGASA, said that “The situation evolved very fast. Our models weren’t able to predict the way the storm intensified, and it exceeded all our predictions.” PAGASA, on it’s first bulletin forecast the storm to reach 155 kph (10-min) near landfall. Eventually, the agency estimated the intensity of landfall at 195 kph (10-min). He added that “a lack of real-time data and case studies of similar storms in the region made it difficult for forecasters to predict just how Rai would intensify.”

Typhoon Rai’s series of intense landfalls are likely to remain in the minds of many in the Philippines, especially in the northern parts of Mindanao, where the storm became the first severe typhoon to strike the region since the 1960s, except for Typhoon Bopha in 2012 which resulted in over a thousand casualties. Rai has been one of the strongest storms to strike the Philippines in the new decade, second only to Typhoon Goni in 2020, bringing destruction to the island of Samar. Goni experienced similar rapid intensification before landfall, however, and weakened slightly. Goni ultimately killed 32, injuring scores more. As the new year turns, the tropics are likely to cool down as relief efforts intensify.

[…] Read further on the destruction caused to the Philippines here: Typhoon Rai Leaves Path of Destruction Through the Philippines […]