Typhoon Vamco approaches Vietnam; Vietnam under alert
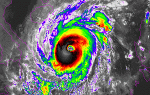
Typhoon Vamco had undergone an rapid intensification and intensified into a category 4 typhoon, but it seems the intensification is...
Typhoon Vamco had undergone an rapid intensification and intensified into a category 4 typhoon, but it seems the intensification is...
Tropical storm Iota the 30th named system in the super active atlantic hurricane season is now making a run for...
While the Northern Hemisphere is still active, the Southern Hemisphere is starting to warm up. The JTWC cone for Alicia...
About 1 1/5 weeks after Hurricane Eta made its catastrophic landfall in Nicaragua, the 2020 Atlantic season now features Tropical...
Typhoon Vamco was forecast to weaken on approach to Vietnam, but it seems fate has changed its destiny yet again,...
Typhoon Vamco has left the Philippines with catastrophic damages in its wake, and the storm is now moving towards Vietnam....
Vamco is still packing winds of 90mph and a minimum pressure of 975mb,a high end Category 1 Typhoon. Vamco is...
At about 4:00 AM EST, Eta was upgraded to a hurricane off the coast of Florida. It remains a hurricane...
Typhoon Vamco continues to intensify despite its closeness to the Philippine landmass, and impacts of the storm should be felt...
Tropical Storm Vamco has now intensified into a category 1 typhoon, and satellite presentations suggests that the storm is now...
Ads by 