Furious Freddy to Make Landfall in Madagascar
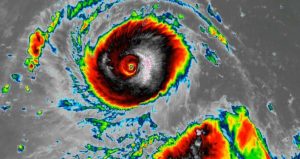
Credit: EUMETSAT Intense Tropical Cyclone Freddy is quickly approaching Madagascar, posing a serious threat to the country's Central and Southernmost...
Credit: EUMETSAT Intense Tropical Cyclone Freddy is quickly approaching Madagascar, posing a serious threat to the country's Central and Southernmost...
Latest Information Intense Tropical Cyclone Freddy continues to roam across the Southern Indian Ocean and increasingly becoming a threat to...
Cyclone Freddy has already been active for over a week and is strengthening once more towards Category 4 status this...
Cyclone Freddy has intensified back into a category 3 storm, staging a long-term threat to Madagascar. Freddy’s eye once again...
Major Hurricane Ian is inching closer to Florida's southwestern coast and is set to bring catastrophic damage to millions of...
Major Hurricane Ian is set to continue intensification after its landfall and short land interaction over western Cuba. The storm's...
PAGASA's Latest Forecast Cone on Super Typhoon Noru (PH Name: Karding) Super Typhoon Noru (PH Name: Karding) is expected to...
Super Typhoon Nanmadol is slowly weakening as it is undergoing an eyewall replacement cycle, but it remains a serious concern...
High waves roll towards the coast of Jeju Island Typhoon Hinnamnor is inching closer to the Korean Peninsula as it...
Super Typhoon Hinnamnor lashed out on another small island group of Japan, today in Daitojima Islands. Record observations were measured...
Ads by 