Hurricane Iota-the First Category 5 of the 2020 Atlantic Season-Catastrophic Landfall in Nicaragua Today
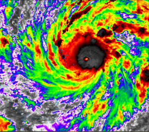
Hurricane Iota has defied all expectations and strengthened to an unprecedented Category 5 Hurricane, the first of the 2020 Atlantic...
Hurricane Iota has defied all expectations and strengthened to an unprecedented Category 5 Hurricane, the first of the 2020 Atlantic...
Despite some minor setbacks for the storm yesterday, Hurricane Iota has begun to strengthen and at an alarming pace. It...
About 1 1/5 weeks after Hurricane Eta made its catastrophic landfall in Nicaragua, the 2020 Atlantic season now features Tropical...
Before the 2005 season began, meteorologists knew it was going to be active. The positive Atlantic multidecadal oscillation (+AMO) phase...
Hurricane Eta continues to intensify at an unprecedented rate as it is now forecasted so slam onshore as a Category...
Tropical Storm Eta is currently rapidly intensifying in the Caribbean and confidence is high that it will make a major...
Hurricane Zeta has organized overnight and quickly intensified into a powerful category 1 hurricane with further strengthening possible up until...
Tropical Storm Zeta has weakened slightly after giving the Yucatan Peninsula a relentless pounding over night with tropical storm and...
Ads by 