Kompasu (Maring) entering the South China Sea – Video Update
Kompasu (Philippine name Maring) has entered the South China Sea and threatening the coastal areas of Southern China, including Hong...
Kompasu (Philippine name Maring) has entered the South China Sea and threatening the coastal areas of Southern China, including Hong...
Tropical Storm Pamela is on the verge of hurricane status this afternoon as it moves slowly northwestwards in the Eastern...
A rather large Tropical Storm Kompasu (Philippine name Maring) is passing just off the northern tip of Luzon, sweeping through...
Major Hurricane Sam has regained category 4 status after briefly weakening to a category 3 status hurricane. Sam is expected...
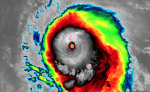
Typhoon Chanthu (Philippine name Kiko) rapidly intensified again today, and has reached Category 5 intensity for the third time in...
Sunlight falls on an intense Super Typhoon Chanthu late Wednesday. Imagery from Himiwari-8 and JMA. Super Typhoon Chanthu explosively intensified...
Tropical Storm Ida continues to intensify and has a worrying future as it enters the Gulf. It is forecasted to...
Tropical Storm Ida continues to intensify further as it nears the western part of Cuba, where hurricane warnings were just...
CURRENT STATUS Tropical Storm Henri maintained strength as it inches towards Long Island and New England early Sunday morning. As...
Tropical Storm Henri is en-route to the coast of New England as a high-end tropical storm and is expected to...
Ads by 