LIVE – Typhoon Nanmadol over Japan, Fiona near Puerto Rico
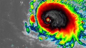
Typhoon Nanmadol peaked as a Category 5 earlier and remains a powerful typhoon as it moves across the Japanese islands....
Typhoon Nanmadol peaked as a Category 5 earlier and remains a powerful typhoon as it moves across the Japanese islands....
Super Typhoon Nanmadol is slowly weakening as it is undergoing an eyewall replacement cycle, but it remains a serious concern...
Typhoon Muifa continues to intensify today on its approach to China. Currently located to the east of Taiwan, the storm...
After reaching Category 5 status yesterday, Hinnamnor remains a very strong Category 4 storm, with little changes to its size...
Super Typhoon Hinnamnor continues its intensification today after being disrupted by an eyewall replacement cycle. It's moving towards the Daitojima...
Typhoon Hinnamnor was visible from the International Space Station during our Tropical Weather Bulletin on August 30, 2022. At the...
Typhoon Hinnamnor has explosively intensified in Western Pacific, passing the Ogasawara Islands in the process. And agencies in the region...
Tropical Storm Ma-on has cleared the coast of the Philippines, but its bands are still producing substantial winds and heavy...
Tropical Depression Florita was designated 10W by the JTWC earlier, and looks to be intensifying slowly under some strong wind...
A new tropical cyclone has formed 350 kilometers east of Luzon, and is likely to intensify as it approaches Luzon...
Ads by 